Tim Fuller has long called the University of Arizona area home.
He can’t imagine living anywhere else.
The UA has “these pockets of knowledge, all interested in sharing that with the community,” the photographer says.
Fuller lives close enough that he walks or rides his bike to the UA, so parking isn’t an issue. And it shouldn’t be much of one for those who take the Sun Link streetcar to campus.
He says one of the best reasons to explore the campus district is Joaquin Ruiz. “He is the head of the College of Science and he has a series of lectures every year. He gets the best, most amazing people to come and talk. They do it at Centennial. If you aren’t there by quarter to seven, you won’t get a seat.”
Those lectures begin in January and are scheduled through the rest of the semester. Each year, a topic is explored from all aspects. Last spring, it was the evolving brain (next year’s topic is not yet decided), and there wasn’t a boring lecture in the series, says Fuller.
He sort of bubbles when he talks about life on the campus — the theater, art museums, the Tucson Festival of Books each spring, music.
“It’s like an amazing village and you can plug into any part of it.”
There’s a lot to see on campus, including the UA Museum of Art, Center for Creative Photography, and the Arizona State Museum. You can also listen to music, from guitar recitals to brass bands; see plays; attend readings by poets from around the country at the UA Poetry Center; shop for everything from baby clothes to makeup at the UA Bookstores, and those science lectures that Fuller loves so much.
But there is plenty that may not be as well-known but definitely is just as intriguing. Here are five of our favorites — all free.
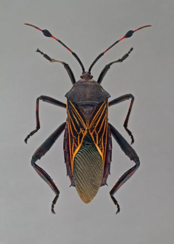
Buggy business
The Insect Collection has more than 2 million specimens from the Southwest. Some from the collection are beautiful, some colorful, some with multiple legs and nasty-looking stingers, and all are interesting. And no worries about them crawling all over you: this is a museum collection, which means they are, well, dead. It’s on the fourth floor of the Forbes Building, 1140 E. South Campus Drive, near Old Main. It’s open 8 a.m.-4 p.m. Mondays through Fridays. Call Gene Hall at 621-6446 before you go so he can make sure someone can take you through the collection.
Spacey places
The Space Imagery Center in Room 450 of the Kuiper Space Sciences Building, 1629 E. University Blvd., is a comprehensive collection of NASA planetary photos. Impressive viewing — though the collection is so large you should have an idea of what photos you would like to see (such as Apollo 13 photos). It’s open 8 a.m.-5 p.m. Mondays, Wednesdays and Fridays, and 10:30 a.m.-5 p.m. Tuesdays and Thursdays, and it’s free (and closed from noon to 1 p.m.). More information at lpl.arizona.edu/sic or 621-4861 — call ahead so they can prepare for your visit.
Down to Earth
The UA Herbarium, in Herring Hall (the second oldest building on campus) at 1130 E. South Campus Drive, has more than 400,000 specimens of plants from Arizona and Sonora, Mexico. That’s a dream for researchers and agencies such as the Park Service. But homeowners benefit, too: Got a weed that looks unfamiliar? Wonder what plants to populate your yard with? Answers are abundant at the herbarium through books and staff. The herbarium also offers workshops during the school year. Tentatively planned for October is one on grasses found here, and another on sunflowers. It’s open 8:30 a.m.-4:30 p.m. Mondays through Fridays. Check the website — ag.arizona.edu/herbarium — or call 621-7243 for more information.
Movie magic
Widescreen Wednesdays features a movie followed by a panel discussion. This year’s overall theme: “The Art of Detection: Investigating the Detective in Film and Television,” with such films as “Double Indemnity” (Oct. 8) and “The Long Goodbye (Dec. 3) that you’ll get to watch, then talk about. Short films by UA students precede the main event. At the Center for Creative Photography, in the UA Fine Arts Complex. Details at tftv.arizona.edu
Write stuff
Special Collections at the University of Arizona Library needs a snazzier name — “special collections” doesn’t adequately describe the holdings. There are manuscripts, photographs and papers from the Beat poet Charles Bukowski; an expansive collection from the Mexican Revolution; a first edition of James Joyce’s “Ulysses” (only 1,000 copies were printed) and rebound by artisan bookbinder Philip Smith, and the world’s largest collection of vaudeville artifacts. And that’s just a taste. The public can view items from Special Collections’ holdings. But don’t expect to check the material out — you’ll be given white gloves, a quick training session on how to handle the materials, and then allowed to through them at the library. It’s at 1510 E. University Blvd., open 9 a.m.-6 p.m. Mondays through Fridays. Check out what it has at speccoll.library.arizona.edu



